巴中市恩阳区人民政府关于划定恩阳区烈士纪念设施保护范围的公告
为贯彻落实习近平总书记关于烈士褒扬工作重要指示精神,进一步加强和规范烈士纪念设施管理,根据《中华人民共和国英雄烈士保护法》《烈士褒扬条例》《烈士纪念设施保护管理办法》等有关规定,按照《巴中市恩阳区人民政府关于同意恩阳区烈士纪念设施保护范围划定方案的批复》(恩府函〔2024〕68 号)要求,现将恩阳区烈士纪念设施保护范围划定公告如下。
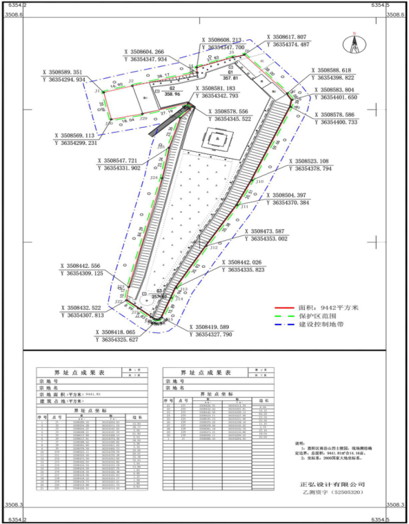
一、恩阳区南岳山烈士陵园
设施地址:恩阳区花丛镇南岳村2组
保护管理单位:恩阳区烈士陵园管理所
保护级别:区级烈士纪念设施
建设及改扩建时间:2014年始建于花丛镇南岳村2组,2022年完成提质改造,保护范围面积14.16亩。
保护范围:北以保护范围(J1—J7)连线为界;东以保护范围(J8—J15)连线为界;南以保护范围(J16—J22)连线为界;西以保护范围(J23—J30)连线为界。烈士纪念设施保护范围内的土地和设施受法律保护,任何组织和个人不得在烈士纪念设施保护范围内从事与纪念英烈无关或者有损纪念英烈环境和氛围的活动,不得侵占烈士纪念设施保护范围内的土地和设施,不得破坏、污损烈士纪念设施。
建设控制地带:保护范围界线外延1米。在建设控制地带内,任何人和组织不得修建与环境风格相违背的设施。
二、恩阳区英烈纪念园
设施地址:恩阳区文治街道办事处马鞍社区和柏林社区雷家包
保护管理单位:恩阳区烈士陵园管理所
保护级别:市级烈士纪念设施
建设及改扩建时间:2022年始建于文治街道办事处马鞍社区和柏林社区雷家包,保护范围面积21.42亩。
保护范围:北以保护范围(J1—J8)连线为界;东以保护范围(J9—J16)连线为界;南以保护范围(J17—J20)连线为界;西以保护范围(J21—J28)连线为界。烈士纪念设施保护范围内的土地和设施受法律保护,任何组织和个人不得在烈士纪念设施保护范围内从事与纪念英烈无关或者有损纪念英烈环境和氛围的活动,不得侵占烈士纪念设施保护范围内的土地和设施,不得破坏、污损烈士纪念设施。
建设控制地带:保护范围界线外延1米。在建设控制地带内,任何人和组织不得修建与环境风格相违背的设施。
三、保护要求
根据《中华人民共和国英雄烈士保护法》《烈士褒扬条例》《烈士纪念设施保护管理办法》等有关规定,烈士纪念设施保护范围内的土地和设施受法律保护,任何组织和个人不得在烈士纪念设施保护范围内从事与纪念英烈无关或者有损纪念英烈环境和氛围的活动,不得侵占烈士纪念设施保护范围内的土地和设施,不得破坏、污损烈士纪念设施。非法侵占烈士纪念设施保护范围内的土地、设施,破坏、污损烈士纪念设施,或者在烈士纪念设施保护范围内为不符合安葬条件人员修建纪念设施、安葬或安放骨灰或者遗体的,由所在地县级以上人民政府退役军人工作主管部门责令改正,恢复原状、原貌;造成损失的,依法追究相应的法律责任。
四、本公告自发布之日起执行。
恩阳区南岳山烈士陵园保护范围和建设控制地带图

恩阳区英烈纪念园保护范围和建设控制地带图

巴中市恩阳区人民政府
2024年9月5日
川公网安备 51190302000116号